علوم
مع اشتداد إعصار “ميليسا”.. جامايكا تستعد لتهديد من أسوأ عاصفة محتملة

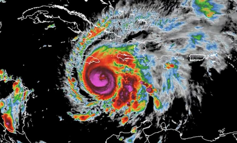
يستعد سكان جامايكا لإعصار ميليسا مع اشتداده إلى عاصفة محتملة من الفئة الخامسة بحلول الاثنين.
يبدو أن جامايكا ستكون مركزًا لأسوأ تهديد ثلاثي لإعصار ميليسا، وهي الفيضانات الناجمة عن الأمطار الغزيرة، وأضرار الرياح، والعواصف العاتية.
ستواجه جامايكا وهايتي وجنوب جمهورية الدومينيكان أسوأ ما في العاصفة حتى مطلع الأسبوع المقبل على الأقل.
قال صامويل جونز، وهو مقيم من السكان المحليين في جامايكا: نحن نستعد فقط، ولا نعلم. ونأمل ألا يأتي هذا الإعصار.
المصدر: cnn



